REQUEST A TOUR If you would like to see this home without being there in person, select the "Virtual Tour" option and your agent will contact you to discuss available opportunities.
In-PersonVirtual Tour

$ 47,000
Est. payment | /mo
$ 47,000
Est. payment | /mo
Key Details
Property Type Vacant Land
Sub Type Lots/Land
Listing Status Active
Purchase Type For Sale
MLS Listing ID SW25200602
Lot Dimensions 4792
Property Sub-Type Lots/Land
Property Description
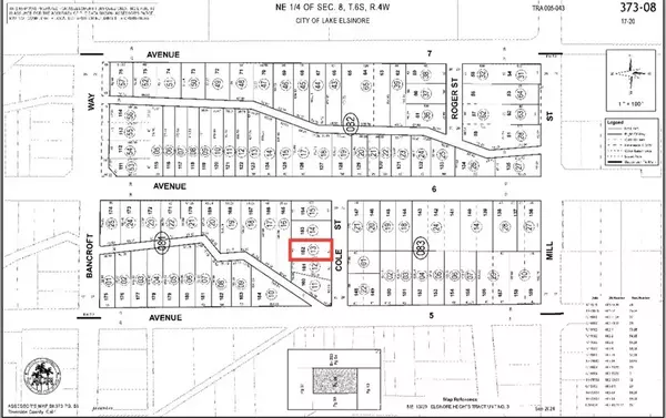
50 x 100 Lot near intersection of Avenue 6 and Cole Lake Elsinore with paved road access. Lot is mostly flat! Lot survey has been completed and will be provided with offer. Property is zoned as RMU -Residential Multi Use. Buyer and buyers agent to review Lake Elsinore and Riverside Zoning regulations to verify acreage, boundaries, potential usage, permits, utilities, easments, rights of way, building requirements, zoning and all details with the City of Lake Elsinore and or Riverside County. Property includes wood Pergala. Chainlink fence with entry gate has alrready been put up outlining the property. Mountain views.
Location
State CA
County Riverside
Direction From 15 South exit on Railroad Canyon / Diamond Dr. Go Right, Turn Right on Auto Center Dr. - Turn Left on Mill St. - Turn Right
Interior
Fireplace No
Exterior
Utilities Available Electric
View Y/N No
Others
Tax ID 373081013

Listed by George Saucedo Coldwell Banker Assoc Brkr-SC
GET MORE INFORMATION

Martina McKinney
REALTOR® | Lic# 02053849